°ë³áÄ¿Hemiptera £¨òíÏó£¬òí£©
[¾¼ÃÒâÒå]´ó²¿·ÖÖÖÀà³É³æÇ°³áµÄ»ù°ë²¿¸ïÖÊ£¬¶Ë°ë²¿Ä¤ÖÊ£¬Îª°ëÇʳᡣ³£ÓгôÏÙ£¬ÓÐЩÄÜ·¢³öʹÈ˶ñÐĵįøÎ¶¡£Èô³æµÄÌåÐμ°Ï°ÐÔÓë³É³æÏàËÆ£¬ÎüʳֲÎïÖÒº»ò²¶Ê³Ð¡¶¯ÎһЩʳũÁÖº¦³æ»òÒæ³æ£¬ÉÙÊýÎüʳѪҺ£¬´«²¥¼²²¡¡£
[ʶ±ðÒªµã] Ì峤1.5-160ºÁÃ×£¬Ìå±Ú¼áÓ²£¬½Ï±âƽ£¬³£ÎªÔ²Ðλòϸ³¤£¬ÌåÂÌ¡¢ºÖ»ò¾ßÃ÷ÏԵľ¯½äÉ«°ßÎÆ¡£´¥½Ç³£ÎªË¿×´£¬3-5½Ú£¬Â¶³ö»òÒþ²ØÔÚ¸´ÑÛÏµĹµÄÚ¡£¿ÚÆ÷´ÌÎüʽ£¬à¹Ò»°ã4½Ú£¬×ÅÉúµãÔÚÍ·µÄǰ¶Ë¡£Ç°Ðر³°å´ó£¬ÖÐÐØÐ¡¶ÜƬ·¢´ï£¬Íâ¶¡£³ôÏÙ¿×λÓÚÐØ²¿¸¹Ãæ¡£
[ÖÖÀàÓë·Ö²¼] ÊÀ½çÒÑÖª38000¶àÖÖ£¬ÊÇÀ¥³æ¸ÙÖеĴóÀàÖ®Ò»¡£È«ÊÀ½ç¸÷´ó¶¯ÎïµØÀíÇø¶¼Óзֲ¼¡£ÖйúÒѼǼµÄÖÖÀàÓÐ3100¶àÖÖ¡£
±¾Ä¿µÄÌØÕ÷¿ÉÒÔ×ܽáΪ£º»ù¸ï¶ËĤ°ë³áÄ¿£¬Ç°ÐØ·¢´ï¶ÜƬ¶£»´ÌÎü¿ÚÆ÷·Ö½Ú๣¬Ë®Â½È¡Ê³¶¯Ö²Îï¡£
[·ÖÀàϵͳÓë³£¼û¿Æ½éÉÜ]
±¾Ä¿ÓÐʱÓëͬ³áÄ¿ºÏ³Æ°ë³áÄ¿£¨¹ãÒ壩£¬±¾Ä¿Ôò³ÆÒì³áÑÇÄ¿¡£±¾Ä¿Í¨³£·ÖΪÒþ½ÇÑÇÄ¿Cryptocerata
ºÍÏÔ½ÇÑÇÄ¿Gymnocerata
Á½À࣬ÒòǰÕß¶àΪˮÉúÀ¥³æ£¬ºóÕß¶àΪ½ÉúÀ¥³æ£¬ËùÒÔÓÖ±»·Ö±ð½Ð×öË®ÆÜ×éHydrocorisae
ºÍ½ÆÜ×éGeocorisae¡£Ä¿Ç°ÓÐÈ˽«°ë³áÄ¿·ÖΪ7¸öÑÇÄ¿£¬Òò±È½Ï·³Ëö£¬ÕâÀï¾Í²»½éÉÜÁË£¬ÈÔ°´Í¨³£µÄÁ½¸öÑÇĿϵͳ½éÉÜÈçÏ¡£
£¨1£©Òþ½ÇÑÇÄ¿Cryptocerata
´¥½Ç±ÈÍ·²¿¶Ì£¬Òþ²ØÔÚ¸´ÑÛÏµĹµÖУ»¶àΪˮÉúÖÖÀà¡£
A¡¢¸º×Óòí¿Æ£¨Ìï±î¿Æ£©Belostomatidae
Ì峤9-110ºÁÃס£Ç°×㲶׽ʽ£¬¸¹²¿Ä©¶ËµÄºôÎü¹Ü¶Ì¶ø±â£¬ÄÜËõÈë¡£´¥½Ç4½Ú£¬Ç°3½ÚÒ»²à¾ßÓÐÒ¶×´Í»Æð¡£³É³æ³ôÏÙ·¢´ï¡£
ÊÀ½çÒÑÖª143ÖÖ£¬¹ã·º·Ö²¼¡£ÎÒ¹úÓÐ3Êô7ÖÖ£¬´óÐ͵Ĺ𻨲õLethocerus
indica Lep. & Serv.
¿ÉʳÓ᣶àÉú»îÔÚ¾²Ë®ÖУ¬³£¸½×ÅÔÚË®²ÝÉϾ²ËÅÁÔÎ²¶Ê³Ð×ÃÍ¡£Ç÷¹âÐÔÇ¿¡£´Æ³æ²úÂÑÓÚÐ۳汳ÉÏ£¬ºóÕß³£Óε½Ë®Ãæ»òÓÃ×㻮ˮʹÂѵõ½³ä×ãµÄÑõÆø£¬ÒÔÀû·õ»¯¡£
B¡¢Ð«òí¿ÆNepidae
Ì峤15-45ºÁÃס£Í·²¿±âƽ¡£´¥½ÇµÚ2½Ú»ò2¡¢3Á½½ÚÓÐָ״ͻÆð¡£Ç°×㲶׽ʽ£¬ÖС¢ºó×ãϸ³¤£¬Êʺϲ½ÐС£¸÷×ãõƽھùΪ1½Ú¡£
ÊÀ½ç¹ã·º·Ö²¼£¬ÒÑÖª231ÖÖ¡£ÎÒ¹úÓÐ5Êô16ÖÖ¡£Éú»îÔÚ¾²Ë®ÖУ¬²»ÉÆÓÎÓ¾£¬×ãÔÚË®ÖÐÔ˶¯Ò²²ÉÈ¡ÅÀÐеķ½Ê½£¬È¡Ê³¸÷ÖÖС¶¯Îï¡£
C¡¢Ñöòí¿ÆNotonectidae
Ì峤5-15ºÁÃס£³£½ÏÏÁ³¤£¬ÉíÌåÏòºóÖð½¥ÏÁ¼â£¬³ÊÓÅÃÀµÄÁ÷ÏßÐÍ¡£°×É«¡¢»Ò°×É«»ò¾ßÀ¶É«°ß¡£ÖÕÉúÒÔ±³ÃæÏòÏ£¬¸¹ÃæÏòÉϵÄ×ËÊÆÔÚË®ÖÐÉú»î¡£Õû¸öÉíÌå±³Ãæ×ÝÏò¡Æð£¬³Ê´¬µ××´¡£¸¹²¿¸¹ÃæÏ°¼£¬ÓÐÒ»×ÝÖм¹¡£ºó×ãºÜ·¢´ï£¬Ñ¹±â³É½°×´ÓÎÓ¾×㣬ÐÝϢʱÉìÏòǰ·½¡£²¶Ê³ÐÔ¡£
ÊÀ½çÒÑÖª340ÖÖ£¬ÎÒ¹úÓÐ21ÖÖ¡£
D¡¢»®òí¿ÆCorixidae
Ì峤2.5-15ºÁÃ×£¬Ìå¶àÏÁ³¤£¬³ÉÁ½²àƽÐеÄÁ÷ÏßÐÍ¡£ÔڽϵµÄµ×É«ÉϾßÓеäÐ͵İßÂíʽµÄºÚÉ«ºá×ß°ßÎÆ£¬ºÜÒ×ʶ±ð¡£Í·²¿ºóÔµ¶àÉÙ¸²¸ÇÔÚÇ°ÐØ±³°åÉÏ¡£Ç°×ãÒ»°ã´Ö¶Ì£¬õƽÚ1½Ú£¬ÌØ»¯¼Ó´ÖΪ³×ÐΣ»ºó×ãÓÎӾʽ¡£
ÊÀ½çÒÑÖª550¶àÖÖ£¬ÎÒ¹úÓÐ51ÖÖ¡£Éú»îÔÚ¸÷ʽ¾²Ë®ºÍ»ºÂýÁ÷¶¯µÄË®ÌåÖУ¬´ÓСˮÌÁµ½´óºþ²´¶¼Óзֲ¼£¬Ò»Ð©ÖÖÀàÔÚ¸ßÑκþ²´ÖÐÒ²ÄÜÉú´æ¡£»ù±¾ÉÏÒÔÔåÀàΪʳ¡£¶àÊýÖÖÀàÄÜ·¢Òô£¬ÓкÜÇ¿µÄÇ÷¹âÐÔ¡£
£¨2£©ÏÔ½ÇÑÇÄ¿Gymnocerata
´¥½ÇÖÁÉÙµÈÓÚÍ·²¿µÄ³¤¶È£¬4-5½Ú£¬ÏÔ¶¡£³ôÏÙ·¢´ï¡£Ö²Ê³ÐÔ¡£¶àΪ½ÉúÖÖÀà¡£
A¡¢ÍÁòí¿ÆCydnidae
СÐÍÖÁÖдóÐÍ¡£ºÖ¡¢ºÚºÖ»òºÚÉ«£¬¸ö±ðÖÖÀàÓа×É«»òÀ¶°×É«»¨°ß¡£´¥½Ç¶àΪ5½Ú£¬ÉÙÊý4½Ú£¬½Ï¶Ì´Ö¡£Ð¡¶ÜƬ³¤Ô¼ÎªÇ°³áÖ®°ë»ò¸ü³¤£¬²¿·ÖÖÖÀàС¶ÜƬ½Ï³¤¶ø¶Ë²¿¿íÔ²¡£Ç°×ãëÖ½Ú±âÆ½£¬Á½²à¾ßÇ¿´Ì£¬ÊʺϿª¾ò¡£ÖС¢ºó×ã¶¥¶Ë¾ßˢ״ë¡£
ÊÀ½çÒÑÖªÔ¼600ÖÖ£¬¹ã·º·Ö²¼£¬ÎÒ¹úÓÐ50¶àÖÖ¡£ÆÜÏ¢ÓڵرíºÍµØ±»ÎïÏ£¬»òÔÚÖ²ÎïµÄ¸ù¼Ê¼ä¡¢ÍÁ·ìÖÐÉú»î£¬ÎüʳֲÎïµÄ¸ù²¿»ò¾¥µÄ»ù²¿¡£ÍÁòíÄÜÅųöÇ¿ÁҵijôÆø£¬Ðí¶àÖÖÀàÓÐÇ÷¹âÐÔ£¬ÓÐЩÖÖÀàµÄ³É³æÓл¤ÂѵÄϰÐÔ£¬Èô³æÓÐȺ¼¯µÄϰÐÔ¡£
B¡¢òí¿ÆPentatomidae
СÐÍÖÁ´óÐÍ£¬¶àΪÍÖÔ²ÐΣ¬±³ÃæÒ»°ã½Ïƽ£¬ÌåÉ«¶àÑù¡£´¥½Ç5½Ú£¬¼«ÉÙÊý4½Ú¡£Óе¥ÑÛ£¬Ç°Ðر³°å³£ÎªÁù½ÇÐΡ£Ð¡¶ÜƬ·¢´ï£¬Èý½ÇÐλòÉà×´¡£à¹4½Ú¡£ºó×ãëÖ½ÚÎÞÇ¿´Ì»òÓÐС´Ì¡£³ôÏÙ·¢´ï¡£
òí¿ÆÊǰë³áÄ¿ÖÐ×î³£¼ûµÄ´ó¿ÆÖ®Ò»£¬ÓÉÓÚÌåÏֽϴóÇÒ¶àÓª±©Â¶Éú»î£¬Òò¶øÎªÈËËùÊìÖª¡£ÊÀ½çÒÑÖª4100ÖÖ£¬ÎÒ¹úÓÐ360ÖÖ¡£Éú»îÔÚÖ²ÎïÉÏ£¬´ó¶àΪֲʳÐÔ¡£Ï²Îüʳ¹ûʵ»òÖÖ×Ó£¬Ò²ÎüʳֲÎïÖÒº£¬Ðí¶àÖÖÀàÊÇÅ©ÁÖº¦³æ¡£³£¼ûµÄÓйÈòí¡¢µ¾ÂÌòíµÈ¡£
C¡¢¶Üòí¿ÆScutelleridae
СÐÍÖÁÖдóÐÍ¡£±³ÃæÇ¿ÁÒԲ¡£¬¸¹ÃæÆ½Ì¹£¬ÂÑÔ²ÐΡ£Ðí¶àÖÖÀàÓÐÏÊÑÞµÄÉ«²ÊºÍ»¨°ß¡£Í·¶à¶Ì¿í¡£´¥½Ç4»ò5½Ú¡£Ð¡¶ÜƬ¼«´ó£¬UÐΣ¬ÄܸÇסÕû¸ö¸¹²¿ºÍǰ³áµÄ¾ø´ó²¿·Ö¡£Ç°³áÓëÌåµÈ³¤£¬Ä¤Æ¬²»ÄÜÕۻء£³ôÏÙ·¢´ï¡£
ÊÀ½çÒÑÖª450ÖÖ£¬¹ã·º·Ö²¼£¬ÈÈ´ø¡¢ÑÇÈÈ´øµØÇø¸üΪ³£¼û¡£ÎÒ¹úÒÑÖªÔ¼40ÖÖ¡£Éú»îÔÚÖ²ÎïÉÏ£¬½Ï´óÐ͵ÄÖÖÀà¶àÆÜÏ¢ÔÚÊ÷ľÉÏ¡£Ö²Ê³ÐÔ£¬³£Æ«Ï²Îüʳ¹ûʵ£¬¿ÉÔì³É¸÷ÖÖΣº¦¡£³£¼ûµÄÓÐÀö¶Üòí¡¢ÓͲè¿í¶ÜòíµÈ¡£
¡¡
D¡¢¹êòí¿Æ£¨Ô²òí¿Æ£©Plataspiddae
СÐÍÖÁÖÐСÐÍ¡£Ìå¶Ì¿í£¬ºóÔµ¶àÉÙÆ½½Ø¡£ÌÝÐλòµ¹ÂÑÐΣ¬¸¹ÃæÆ½¶ø±³ÃæÔ²Â¡£¬ÂԳʹê×´»ò¶¹Á£×´¡£ºÚÉ«ÓйâÔ󣬳£¾ß»ÆÉ«°ßÎÆ¡£Óë¶Üòí¿ÆÏàËÆ£¬µ«ÌåС¶øÔ²£¬Ç°³á½ÏÌ峤£¬Ä¤Æ¬ÄÜÕۻء£Ç°Ðر³°å²àԵǰ²¿³ÉÒ¶×´ÏòÁ½²àÀ©Õ¹¡£
ÊÀ½çÒÑÖª500¶àÖÖ£¬·Ö²¼Ôھɴ󽣬ÈÈ´ø¡¢ÑÇÈÈ´øÖÖÀà·á¸»¡£ÎÒ¹úÓÐ90¶àÖÖ¡£¶àÆÜÏ¢ÔÚÖ²ÎïÖ¦ÌõÉÏ£¬ÉÙÊýÆÜÏ¢ÓÚÊ÷Ƥ·ì϶ÖС£³£³ÉСȺ¾Û¼¯£¬¿É·¢³öÇ¿ÁҵijôÆø¡£ÒÔ¶¹¿ÆÖ²ÎïΪ¼ÄÖ÷µÄÖÖÀàºÜ¶à¡£³£¼ûµÄÓÐÔ²¹êòí¡¢¶¹¹êòíµÈ¡£
E¡¢Ôµòí¿ÆCoreidae
Öе½´óÐÍ¡£ÌåÐζàÑù£¬³£ÎªÍÖÔ²ÐΡ£Ìå³Ê»Æ¡¢ºÖ¡¢ºÚºÖ»òÏÊÂÌÉ«£¬¸ö±ðÖÖÀàÓÐÏÊÑ޵ύ°ß¡£³£·ÖÃÚÇ¿Áҵijôζ¡£´¥½Ç4½Ú£¬à¹4½Ú£¬Óе¥ÑÛ£¬³áµÄĤƬÉÏÓÐ8-9ÌõÂö¡£
ÊÀ½çÒÑÖªÔ¼1800ÖÖ£¬¹ã·º·Ö²¼£¬Å¯ÈȵشøÎª¶à¡£ÎÒ¹úÓнü200ÖÖ¡£È«²¿ÎªÖ²Ê³ÐÔ£¬Îüʳ¼ÄÖ÷µÄÖÒº£¬ÓÈϲÎüʳ»¨¹û¡£Ðí¶àÖÖÀà¶Ô×÷ΪÔì³ÉΣº¦¡£³£¼ûµÄÓе¾¼¬ÔµòíµÈ¡£
F¡¢³¤òí¿ÆLygaeidae
΢СÖÁÖÐÐΡ£ÌåÐζàÑù£¬³£ÎªÍÖÔ²ÐΡ£»Þ°µ£¬µ«ÉÙÊýÀàȺÏÊÑÞºìÉ«ÓдóºÚ°ß¡£ÓëÔµòí¿ÆÏàËÆ£¬µ«Ç°³áĤƬÉÏÓÐ4-5ÌõÂö¡£
ÊÀ½çÒÑÖªÔ¼4000ÖÖ£¬¹ã·º·Ö²¼¡£ÎÒ¹úÓÐÔ¼320ÖÖ¡£Éú»îÓڵرíºÍµØ±»Îï¼äÒÔ¼°Ö²ÎïÉÏ£¬ºóÕß°üÀ¨Ò¶ÇÊÄÚ¡¢Ýô¹ûÖС¢ÕëÒ¶Ê÷Çò¹ûµÄ¹ûÁÛϵȡ£ÓÐÏ൱һ²¿·ÖÖÖÀàÊÈʳ¹ûʵºÍÖÖ×Ó£¬ÎüʳֲÎïÖÒºµÄÖÖÀàÒ²²»ÉÙ¡£Èô³æÄâ̬ÂìÒϵÄÖÖÀàͦ¶à¡£ÖØÒªµÄº¦³æÓиßÁ»³¤òíDimorphopterus
japonicus HidakaµÈ¡£
G¡¢ºìòí¿ÆPyrrhocoridae
Öе½´óÐÍ¡£ÍÖÔ²ÐΣ¬¶àΪÏʺìÉ«¶øÓкڰߡ£´¥½Ç4½Ú£¬à¹4½Ú£¬ÎÞµ¥ÑÛ¡£
ÊÀ½çÒÑÖªÔ¼300ÖÖ£¬¹ã·º·Ö²¼£¬Ö÷ÒªÔÚůÈȵشø¡£ÎÒ¹úÓÐ36ÖÖ¡£Ö²Ê³ÐÔ£¬È¡Ê³¹ûʵºÍÖÖ×Ó¡£³£¼ûµÄÓÐÃÞºìòíµÈ¡£
H¡¢Ã¤òí¿ÆMiridae
СÖÁÖÐÐΣ¬ÌåÐζàÑù¡£´ó¶àÊýÎÞµ¥ÑÛ£¬ÉíÌåÏà¶ÔÈáÈõ£¬×ã³£Ò×¶ÏÂ䡣ǰ³á³£ÕÛµþ£¬Ä¤Æ¬ÉÏÖ»ÓÐ1´ó1СÁ½¸ö³áÊÒ£¬ÆäÓà³áÂö¾ùÏûʧ¡£
±¾¿ÆÎª°ë³áÄ¿ÖÐ×î´óµÄÒ»¸ö¿Æ£¬ÊÀ½çÒÑÖªÔ¼10000ÖÖ£¬¹ã·º·Ö²¼¡£ÎÒ¹úÒÑÖª560¶àÖÖ£¬Êµ¼ÊÖÖÊý¹À¼Æ¿É´ïǧÖÖ¡£¶àÉú»îÔÚÖ²ÎïÉÏ£¬Ðж¯»îÆÃ£¬ÉÆ·ÉÏ裬ϲʳֲÎïµÄ»¨¹û¡£²¿·ÖÀàȺ²¶Ê³ÑÁ³æ¡¢òýÀàµÈС¶¯Îï¼°³æÂÑ¡£Ò»Ð©ÖÖÀ໹¿É¼æÊ³Ö²ÎïÓ붯ÎïÁ½ÖÖʳÁÏ¡£³£¼ûµÄÓÐÀöÂÌäòíµÈ¡£
I¡¢Íøòí¿ÆTingididae
Сµ½ÖÐÐÍ¡£Ìå¶à±âƽ£¬ÓÐÏà¶Ô¿íƽµÄǰ³á£¬Ìåɫȱ·¦ÏÊÑÞµÄÉ«²Ê¡£Ç°Ðر³°å¼°Ç°³á±é²¼Íø¸ñ×´ÀâÆðËù×é³ÉµÄ»¨ÎÆ£¬¼«Ò×ʶ±ð¡£
ÊÀ½çÒÑÖª2000ÖÖÒÔÉÏ£¬ÊÀ½çÐÔ·Ö²¼¡£ÎÒ¹úÓÐ170¶àÖÖ¡£Éú»îÔÚÖ²ÎïÉÏ£¬¶àÆÜÏ¢ÓÚҶƬ·´Ã棬Èô³æÓÈÆäÈç´Ë¡£Ò²ÓеÄÖÖÀàÉú»îÔÚÊ÷Ƥ·ì϶¡¢µØ±»Îï¼ä¼°Ì¦Þº²ãÏ¡£È«²¿Ö²Ê³ÐÔ£¬ÉÙÊýÄÜÐγɳæñ¨¡£³£¼ûµÄÓÐÁÁ¹ÚÍøòíµÈ¡£
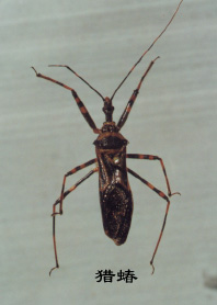
J¡¢ÁÔòí¿ÆReduviidae
СÐÍÖÁ´óÐÍ£¬Ì峤×î´ó¿É´ï40ºÁÃס£ÌåÐμ«Æä¶àÑù¡£¶àÊýÖÖÀàÌå±Ú¼áÓ²£¬»Æ¡¢ºÖ»òºÚÉ«£¬²»ÉÙÖÖÀàÓÐÏʺìµÄÉ«°ß¡£Í·²¿³£ÔÚÑÛºó±äϸÉ쳤¡£´¥½Ç4½Ú£¬à¹3½Ú£¬à¹²»Éì´ïÖÐ×ã»ù²¿¡£Ðí¶àÖÖÀàµÄǰ×ãÌØ»¯Îª²¶×½×ã¡£
ÊÀ½çÒÑÖªÔ¼6800ÖÖ£¬¹ã·º·Ö²¼£¬Å¯ÈȵشøÓÈÆä¶àÑù¡£ÎÒ¹úÒÑÖªÔ¼400ÖÖ¡£¼¸ºõÈ«²¿Îª²¶Ê³ÐÔ£¬²¶×½À¥³æ¡¢Ö©ÖëºÍ¶à×ãÀදÎ²»Í¬ÖÖÀà¶ÔÁÔÎïÓв»Í¬µÄÑ¡ÔñºÍƫϲ¡£
K¡¢»¨òí¿ÆAnthocoridae
СÐÍ£¬ÍÖÔ²ÐΣ¬±³Ãæ±âƽ¡£´¥½Ç4½Ú¡£à¹4½Ú£¬µÚ2½Ú¼«¶ÌС£¬à¹Éì´ïÖÐ×ã»ù²¿¡£Ç°³áĤƬÉÏÎÞ·â±ÕµÄ³áÊÒ£¬³áÂöºÜÉÙ¡£
ÊÀ½çÒÑÖª500¶àÖÖ£¬¹ã·º·Ö²¼¡£ÎÒ¹úÒÑÖª90ÖÖ¡£Éú»îÔÚÖ²ÎïÉÏ£¬¶à¼ûÓÚ»¨¶ä¡¢Ê÷Ƥ¡¢Ò¶Ò¸¡¢Çò¹ûµÄ¹ûÁÛϵȴ¦¡£²¿·ÖÖÖÀàÔڵر»ÎïºÍ¶¯ÎïµÄ³²Ñ¨ÄÚÉú»î£¬Ö÷ҪΪ²¶Ê³ÐÔ£¬²¶Ê³ÑÁ³æ¡¢òýÀà¡¢ò»¿Ç³æ¡¢¼»Âí¡¢Ä¾ÊµÈС¶¯Îï¡£³£¼ûµÄÓÐС»¨òí¡¢Ô»¨òíµÈ¡£
L¡¢Ìøòí¿ÆSaldidae
Ì峤2.3-7.4ºÁÃ×£¬ÂÑÔ²ÐΣ¬½Ï±âƽ¡£»ÒÉ«¡¢»ÒºÚ»òºÚÉ«£¬³£ÓÐһЩµÉ«»òÉîÉ«Ëé°ß¡£¸´ÑÛ´ó¡£´¥½Ç4½Ú£¬à¹3½Ú£¬à¹Éì´ïÖÐ×ã»ù²¿¡£Ç°³áĤƬÉÏÓÐ4-5¸ö³áÊÒ¡£
ÊÀ½çÒÑÖª260¶àÖÖ£¬¹ã·º·Ö²¼£¬±±°ëÇò½Ï¶à¡£ÎÒ¹úÓÐ39ÖÖ¡£ÌøòíÔÚ×ÔÈ»½çÏ൱³£¼û£¬Éú»îÔÚºÓÁ÷¡¢ºþ²´µÄÕÓÔ󵨰¶ºÍ³±¼äµØ´ø£¬»î¶¯Óڵرí»ò×÷µÍ·É£¬Ðж¯ÁéÃô£¬Óкܺõı£»¤É«£¬²»Ò×±»·¢ÏÖ¡£Ò²ÓÐЩÖÖÀàÉú»îÔÚ¸ÉÔïµÄ»·¾³ÖУ¬»¹ÓÐЩÖÖÀàÓнÏÇ¿µÄÄͺ®ÄÜÁ¦¡£
M¡¢³ôòí¿ÆCimicidae
ͨ³Æ³ô³æ£¬Ð¡Ð͵½ÖÐСÐÍ¡£ÂÑÔ²ÐΣ¬±âƽ¡¢ºìºÖÉ«¡£Íâ¹Û¼¸ºõÎ޳ᡣÎÞµ¥ÑÛ£¬´¥½Ç4½Ú£¬à¹3½Ú¡£³áÍË»¯£¬½öÁôÏÂǰ³á»ù²¿Èý½ÇÐεIJкۡ£
ÊÀ½çÒÑÖªÔ¼90ÖÖ£¬¹ã·º·Ö²¼£¬Å¯ÈȵØÇøÎª¶à¡£ÎÒ¹úÑо¿½ÏÉÙ£¬Ö»¼ÇÔØÁË3ÖÖ£¬ÆäÖÐδø³ô³æCimex
lectularis L.ºÍÈÈ´ø³ô³æC. hemipterus (Fabricius)ÔÚ¾ÓÊÒÄÚÎüʳÈËѪ¡£
N¡¢Ë®ö¼¿Æ£¨ö¼òí¿Æ£©Gerridae
ÌåÐÍ´óСÏà²î¼«´ó£¬ÓÉ1.7ºÁÃ×µ½36ºÁÃײ»µÈ£¬ÒÔÏÁ³¤µÄÖÖÀà¾Ó¶à¡£¾ø´ó¶àÊýÖÖÀàÕû¸öÉíÌ帲¸ÇÓÉ΢ë×é³ÉµÄ¾Üˮë¡£ÎÞµ¥ÑÛ£¬´¥½ÇµÚ1½Ú³£³¤¡£Ç°×ã´Ö¶Ì±äÐΣ¬¾ß¾ðÎÕ×÷Óá£ÖС¢ºó×㼫ϸ³¤Ïò²à·½É쿪£¬ÍȽÚÓëëÖ½ÚÔ¼µÈ³¤¡£
ÊÀ½çÐÔ·Ö²¼£¬ÒÑÖªÔ¼530ÖÖ¡£ÎÒ¹ú¹²¼Ç¼75ÖÖ¡£¼¸ºõÖÕÉúÉú»îÔÚË®ÃæÖ®ÉÏ£¬¶àϲ»¶Ã»ÓÐË®²Ý¸²¸ÇµÄ¿ªÀ«Ë®Ãæ¡£³£¼ûµÄÓÐÔ²Íδóö¼òíAquarius
paludum (Fabricius)µÈ¡£
¡¡
[ÉÏÒ»Ò³] £ÛÏÂÒ»Ò³£Ý
|